
Zduńska Wola nie zwalnia tempa, jeśli chodzi o rozwój przestrzeni rekreacyjnych. Tym razem to teren nad zalewem Kępina wzbogaci się o nową atrakcję – Park Sensoryczny w formie labiryntu. Miasto właśnie ogłosiło przetarg na jego wykonanie. Na oferty czeka do 18 sierpnia.
To kolejny krok w kierunku uatrakcyjnienia przestrzeni wokół Kępiny – miejsca, które już dziś cieszy się dużą popularnością wśród mieszkańców. Tym razem inwestycja skierowana jest zarówno do dzieci, jak i dorosłych – łączy aktywność fizyczną z sensorycznym doświadczaniem otoczenia.
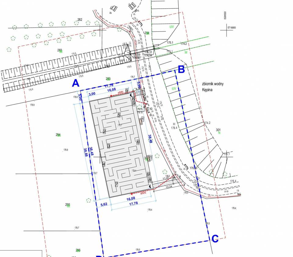
- Miejsce na Park Sensoryczny znajdzie się nad zalewem Kępina przy jego południowo-zachodnim brzegu. Labirynt został zaprojektowany na planie prostokąta i będzie miał powierzchnię około 650 metrów kwadratowych - przekazują miejscy urzędnicy.
Projekt labiryntu wyróżnia się modularną konstrukcją – elementy wykonane zostaną z kompozytowych desek, odpornych na warunki atmosferyczne i przystosowanych do długotrwałej eksploatacji. System modułowy pozwala na łatwy montaż i demontaż poszczególnych paneli oraz swobodne modyfikowanie układu ścieżek. W praktyce oznacza to, że układ labiryntu będzie można co jakiś czas zmieniać, nadając mu nową formę i wprowadzając nowe wyzwania dla użytkowników.
Miasto planuje zrealizować inwestycję jeszcze w tym roku. Po wyborze wykonawcy, który zostanie wyłoniony po otwarciu ofert 18 sierpnia, na przeprowadzenie prac budowlanych przewidziano trzy miesiące od momentu podpisania umowy.
Labirynt sensoryczny ma szansę stać się nie tylko kolejną atrakcją rekreacyjną, ale także przestrzenią edukacyjną i integracyjną – dla rodzin, szkół czy grup zorganizowanych. Jeśli wszystko pójdzie zgodnie z planem, mieszkańcy Zduńskiej Woli już tej jesieni będą mogli przetestować nową przestrzeń nad Kępiną.